John Mullin, 1828 - 1902
by Brian Stevenson
last updated January, 2026
John Mullin left behind a number of microscope slides (Figure 1), but almost nothing to identify who he was or his connections with microscopy.

Figure 1.
Microscope slides by John Mullin. From the author’s collection or adapted for educational, nonprofit use from internet sale sites.
 
I found only one published mention of John Mullin and microscopes: in 1903, The Memoirs and Proceedings of the Manchester Literary and Philosophical Society thanked, “The late Mr. John Mullin, for his binocular microscope, and a series of microscope slides”. Searches of earlier editions of the Society’s Memoirs and Proceedings did not turn up his name, implying that he had not been a member or notable visitor.
Well over a dozen people named “John Mullin” died in the vicinity of Manchester in 1902-1903, but almost all were children under 10. The 1901 national census of England recorded quite a number of people with that or a similar name, but most were boys or labourers, dock-workers, or other working-class men who were not likely have been able to afford a “binocular microscope” and did not die near 1903. I identified only one person named John Mullin who fit the bill of having lived near Manchester, dying ca. 1903, and being of the age and occupation consistent of being a somewhat affluent amateur microscopist. His story:
John Mullin was born on November 27, 1828, in Liverpool, Lancashire, a son of Michael and Ann Mullin. He was baptized in February, 1829, at St. Mary’s Catholic Church, Liverpool. Father Michael died in 1847, at the age of 45. His burial record states that Michael died in the “Lazarettoes”, which were quarantine stations for maritime travelers, suggesting that he was a sailor and died of fever after returning from a voyage.
John married Susannah Burns on July 2, 1848, at St Chad's Catholic Chapel, Manchester. They had three children, all boys.
The 1851 national census shows that John worked as a “cotton spinner”. He and Susannah lived in Manchester with his widowed mother (a “laundress”), two siblings, and four other relatives.
By 1861, John had worked his way up to be an “overlooker” (i.e. overseer or manager)in a cotton mill. Wife Susannah also worked in the mill, as “piecer”, meaning that she was responsible for joining broken threads on the running textile-making equipment.
At some point during the 1860s, the Mullin family moved to Oldham, Lancashire, a short distance from Manchester.
It may be that living in Oldham influenced John Mullin’s choices for microscopical specimens. The area was a major center for coal mining, and the majority of Mullin’s known microscope slides are thin sections of coal that show plant fossils (e.g. Figure 1). He would likely have been familiar with area microscopists such as John Butterworth (1831-1900), who also worked in the area’s cotton mills, produced high-quality thin-section slides of coal fossils, and became well-connected to those who studied paleobotany. Butterworth became a Fellow of the Royal Microscopical Society and member of scientific groups such as the Literary and Philosophical Society of Manchester. Charles F. Cross (1841-1916) was another notable mounter of coal fossils in the Oldham area who, like Mullin, is not known to have been a member of a formal scientific organization.
The 1871 census described John’s occupation as “manager cotton mill”. Susannah had disappeared, and a new wife, Mary Ann, appears in the census – Mary was about 10 years younger than Susannah, so presumably not the same woman.
Also in 1871, John Mullin was awarded a patent for “improvements in mules for spinning”. A “spinning mule” was a piece of equipment used for producing thread, for use in fabric-making. The patent described Mullin as a “spinning master”.
John Mullin was still a “cotton mill manager” at the time of the 1881 census. Wife Mary Ann now operated a grocery shop in Oldham. The family included an orphaned nephew, also named John Mullin, who was later described in G.H. Whittaker’s A Lancashire Garland of Dialect Prose and Verse: “Left an orphan at the age of six years, John Mullin was taken into the care of an uncle and aunt living at Hollinwood (near Oldham). His uncle (of the same name as himself) was manager of Holland's cotton mill, Miles Platting. They had also a village grocery store, and their young nephew helping in the business came into contact with many typical characters of a Lancashire village, cotton workers chiefly.”
Wife Mary Ann died in 1887. He then took a new wife, Sarah.
The 1890 Cotton Spinners' and Manufacturers' Directory for Lancashire listed, “Oldham Albion Spinning Co., Limited (and warpers), Hollinwood; 86,184 spindles, 40s/50s twist, 50s/80s weft. Pay day third Wednesday, 10-12. John Mullin manager; James Cocker, secretary and salesman.”
Mullin worked with a James Pollit/Pollitt in filing for patents during 1890. In that year, the two men received a patent for “carding engines with revolving flats.”
The early 1890s brought an additional occupation to John Mullin, as he acquired The Three Crowns inn/pub in Oldham. Related to that acquisition, Mullin and Pollitt received another patent in 1890, for “an improved tap for barrels and other vessels containing liquid”. Pollitt may have been the same man who became chairman and managing director of Openshaw Brewery, Manchester.
Mullin was still very active in the textile industry. In 1893, he received a patent for “clearer for the drawing and calendaring rollers of machines used in preparing and spinning cotton”.
Sarah evidently died during the 1890s. The 1901 national census shows John as a “widower” and “living on own means” in Chadderton, on the outskirts of Oldham. He died there on April 6, 1902.
 

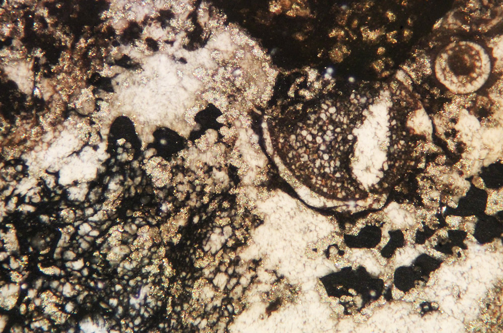
Figure 2.
"Various tissues" of fossilized plants in a section of coal, prepared ca. 1880s-1890s by John Mullin (see Figure 1). Adapted for educational, nonprofit use from an internet sale site, magnification etc. not known.
 

Figure 3.
"Pepper stem" thin section, prepared ca. 1880s-1890s by John Mullin (see Figure 1). Imaged with a 10x objective lens and C-mounted digital camera on a Leitz Ortholux II microscope, with normal transmitted light (left) and crossed polarizing filters (right).
 
Resources
Baptism record of John Mullin (1828) Records of St. Mary's, Liverpool, accessed through ancestry.com
The Brewers’ Guardian (1890) Patents, February 17, page 75
The Cotton Spinners' and Manufacturers' Directory for Lancashire (1890) Oldham Albion Spinning Co., Limited, page 119
Death record of Michael Mullin (1847) Records of St. Mary's, Liverpool, accessed through ancestry.com
Death record of Mary Ann Mullin (1887) accessed through ancestry.com
The Directory of Directors (1902) Pollitt, page 665
England census and other records, accessed through ancestry.com
English Patents of Inventions, Specifications (1871) Letters patent to John Mullin, of Oldham, in the County of Lancaster, Spinning Master, for the invention of “Improvements in mules for spinning”
Marriage record of John Mullin and Susannah Burns (1848) Records of St Chad's, Manchester, accessed through ancestry.com
Memoirs and Proceedings of the Manchester Literary and Philosophical Society (1903) Donations, Vol. 47, page xiv
Probate of the will of John Mullin (1902) “Mullin John of 558 Middleton-road Chadderton Oldham died 6 April 1902 Administration (with Will) Manchester 13 May to Harold Mullin cotton-operative Effects £381 18s 9d”, accessed through ancestry.com
Slater’s Directory of Manchester and Salford (1863) “Mullin John, overlooker, 18 Whitehead st., Rochdale rd”, page 346
The Textile Manufacturer (1893) Patents, 9th February, page 141
The Textile Mercury (1890) Patents, 10th March, page 215
Whittaker, G. Halstad (1936) John Mullin, A Lancashire Garland of Dialect Prose and Verse, G. Whittaker & Sons, Stalybridge, pages 211-212